
অনলাইন ডেস্ক: অতি শক্তিশালী ঘূর্ণিঝড় ইয়াস স্থলভাগের দিকে এগিয়ে আসছে দ্রুত। রাত ৩টের মৌসম ভবন প্রকাশিত বুলেটিনে এই বিষয়ে বিস্তারিত তথ্য দেওয়া হয়েছে। ওই বুলেটিন জানাচ্ছে, গত সাড়ে ৬ ঘণ্টায় স্থলভাগের আরও কাছে চলে এসেছে ইয়াস। এখন তার অবস্থান পূর্ব মেদিনীপুরের দিঘা সৈকত থেকে মাত্র ১৭০ কিলোমিটার দূরে উত্তর-পশ্চিম বঙ্গোপসাগরে। বুধবার ভোরেই তা স্থলভাগে পৌঁছে যেতে পারে ইঙ্গিত দিয়ে পশ্চিমবঙ্গ এবং ওড়িশা উপকূলে লাল সতর্কতা জারি করেছে মৌসম ভবন।
বুলেটিন জানাচ্ছে, ঘূর্ণিঝড় ইয়াস উত্তর-পশ্চিম বঙ্গোপসাগরের ২০ ডিগ্রি ১ মিনিট উত্তর অক্ষাংশ এবং ৮৭ ডিগ্রি ৮ মিনিট পূর্ব দ্রাঘিমায় অবস্থান করছে। এই মুহূর্তে ওড়িশার পারাদ্বীপ থেকে ১২০ কিলোমিটার পূর্ব, দক্ষিণ-পূর্ব, ওড়িশার বালেশ্বর থেকে ১৮০ কিলোমিটার দক্ষিণ, দক্ষিণ-পূর্ব,পশ্চিমবঙ্গের দিঘা থেকে ১৭০ কিলোমিটার দক্ষিণ দক্ষিণ-পূর্বে অবস্থান করছে ইয়াস। তার অভিমুখ রয়েছে ওড়িশার ভদ্রক জেলার ধামরা এবং বালেশ্বরের মধ্যবর্তী উপকূলভাগের দিকে। বুধবার সকালেই সেখানে হানা দিতে পারে ‘অতি শক্তিশালী’ ইয়াস। বুধবার দুপুর পর্যন্ত সেখানে প্রবল ঘূর্ণিঝড়ের সম্ভাবনা। দীর্ঘ সময় ধরে অতি শক্তিশালী ঘূর্ণিঝড় বইতে থাকার পূর্বাভাস ক্ষয়ক্ষতির আশঙ্কা বাড়াচ্ছে।
Advertisement

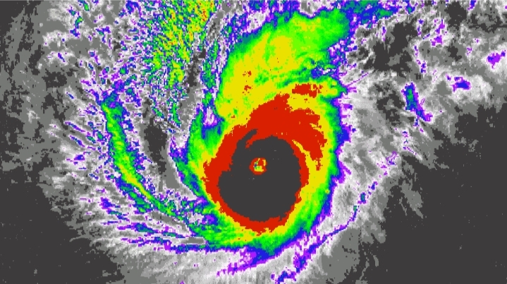
ফাইল চিত্র।
মঙ্গলবার দুপুর ১২টা ১৫ ঘূর্ণিঝড়ের গতিবেগ ঘণ্টায় ১৭ কিলোমিটার থাকলেও শেষ ৬ ঘণ্টায় তা হয়েছে ১২ কিলোমিটার। বুলেটিনে বলা হয়েছে, ইয়াস স্থলভাগে আছড়ে পড়ার আগে বুধবার ভোর সাড়ে ৫টা নাগাদ উত্তর বঙ্গোপসাগরে ঘূর্ণিঝড়ের গতিবেগ ১৩০ থেকে ১৪০ কিলোমিটার, সর্বোচ্চ (গাস্টিং) ১৫৫ কিলোমিটার হতে পারে।
বৃহস্পতিবার দুপুর পর্যন্ত গভীর নিম্নচাপের প্রভাবে অতি ভারী এবং ভারী বৃষ্টিপাতের সম্ভাবনার কথাও বলা হয়েছে বুলেটিনে। পশ্চিবঙ্গের দুই মেদিনীপুর এবং দক্ষিণ ২৪ পরগনার অতি ভারী বৃষ্টির আশঙ্কা রয়েছে। কলকাতা, হাওড়া, হুগলি এবং উত্তর ২৪ পরগনার বিভিন্ন এলাকাতে ভারী বৃষ্টির সম্ভাবনা। ওড়িশার বালেশ্বর, ভদ্রক, কেন্দ্রাপড়া, জগৎসিংহপুরের মতো উপকূলীয় জেলাগুলিতে অতি ভারী বৃষ্টির পূর্বাভাসও দেওয়া হয়েছে বুলেটিনে।